Effective Strategies for Managing an Earwig Infestation
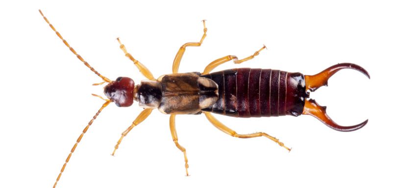
Earwigs, easily recognized by their distinctive posterior pincers, are a common sight in gardens and occasionally inside homes. While their appearance can be unsettling, they are generally harmless to humans and pets. They do not bite, sting, or, despite popular myths, burrow into ears. However, a large earwig infestation can indicate underlying moisture issues and lead to […]







